BÁN ĐẤT TRỤC LIÊN THÔN ĐỒI MIỄU XUÂN MAI HÀ NỘI | 82,7m² KINH DOANH TỐT, GIÁ CHỈ 2,X TỶ

Địa chỉ: Nam Phương Tiến - Xuân Mai (mới)

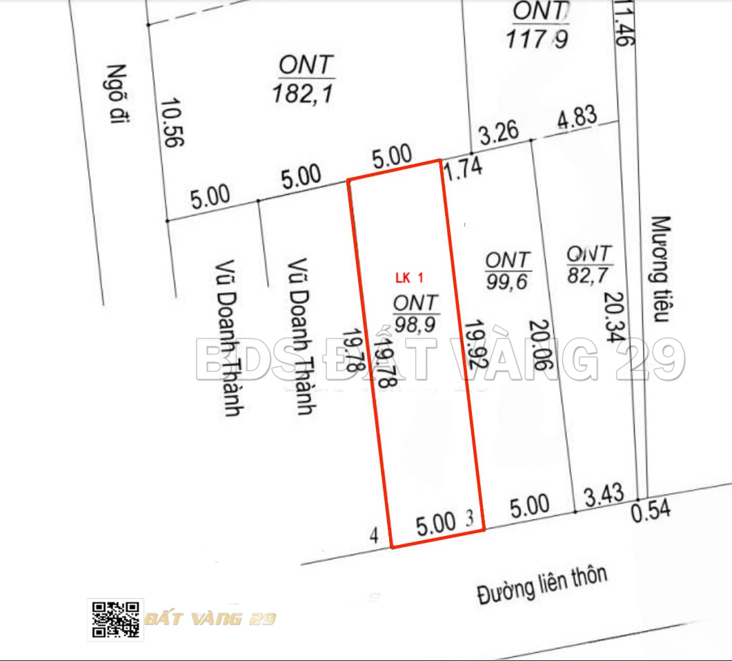
Diện tích: 82.7 m2
Chiều ngang: 3.5m
Chiều dài: 20m
Hướng: nam
Giá: Liên hệ
Pháp lý: Đã có sổ
Trạng thái: Đang bán
Gọi ngay 0966774004

(*) Vui lòng Click vào ảnh để xem rõ nhất

Thông tin dự án

BÁN ĐẤT TRỤC LIÊN THÔN ĐỒI MIỄU XUÂN MAI HÀ NỘI | VỊ TRÍ ĐẸP, KINH DOANH TỐT, GIÁ CHỈ 2,X TỶ


📍 Thông tin chi tiết lô đất

  • Vị trí: Mặt trục liên thôn Đồi Miễu, Xuân Mai, Hà Nội

  • Diện tích: 82,7m² – sổ đỏ chính chủ

  • Đường trước đất: Rộng rãi, ô tô tránh thoải mái

  • Pháp lý: Sổ đỏ rõ ràng – sang tên công chứng ngay

  • Giá bán: Chỉ 2,x tỷ, phù hợp ở hoặc đầu tư kinh doanh


🌟 Lợi thế nổi bật của lô đất trục liên thôn Đồi Miễu – Xuân Mai

Vị trí trung tâm phát triển: Nằm trên trục liên thôn Đồi Miễu, khu dân cư đông đúc, kết nối dễ dàng ra QL6 và trung tâm thị trấn Xuân Mai.
Mặt đường to, kinh doanh thuận tiện: Lô đất nằm ngay trục chính, giao thông sầm uất, có thể mở cửa hàng, văn phòng, quán ăn, tiệm tạp hóa.
Khu dân cư an ninh, hạ tầng hoàn thiện, xung quanh là nhà ở kiên cố, điện – nước – internet đầy đủ.
Tiềm năng tăng giá cao: Xuân Mai đang được đầu tư mạnh về hạ tầng, mở rộng giao thông, thu hút nhiều dự án đô thị mới.


🏘️ Phù hợp cho nhiều mục đích sử dụng

  • Xây nhà ở lâu dài, vị trí thoáng, phong thủy tốt.

  • Kinh doanh nhỏ lẻ: mở quán cà phê, tạp hóa, hiệu thuốc, văn phòng đại diện…

  • Đầu tư sinh lời: khu vực đang tăng giá từng năm khi hạ tầng Xuân Mai – Chương Mỹ ngày càng phát triển.


💰 Giá bán & cơ hội đầu tư

💸 Giá chỉ từ 2,x tỷ cho lô đất gần trung tâm Xuân Mai – mức giá cực hiếm trong khu vực!
Đây là cơ hội đầu tư an toàn, tiềm năng sinh lời cao, phù hợp cả để ở hoặc khai thác cho thuê kinh doanh.

📜 Pháp lý rõ ràng – sang tên công chứng ngay
📍 Xem đất trực tiếp dễ dàng, hỗ trợ tư vấn đầu tư miễn phí.


📞 Liên hệ xem đất thực tế

VP BĐS ĐẤT VÀNG 29 – Chuyên mua bán đất nền, đất ở, đất đầu tư khu vực Xuân Mai – Chương Mỹ – ven đô Hà Nội

Dự án cùng khu vực

Bán Đất Full Thổ Cư Đồi Mít Xuân Mai 121.8m²  – Gần Hồ Văn Sơn – Đường Rộng, Ô tô tránh
Liên hệ
Đang bán
Bán Đất Full Thổ Cư Đồi Mít Xuân Mai 121.8m²  – Gần Hồ Văn Sơn – Đường Rộng, Ô tô tránh
Diện tích: 121.8 m2
Hướng: Tây Nam
Pháp lý: Đã có sổ
Khu vực: Nam Phương Tiến - Xuân Mai (mới)
Bán Đất Hạnh Côn Nam Phương Tiến 667m² – Diện Tích Lớn – Tiềm Năng Phân Lô & Nghỉ Dưỡng
Liên hệ
Đang bán
Bán Đất Hạnh Côn Nam Phương Tiến 667m² – Diện Tích Lớn – Tiềm Năng Phân Lô & Nghỉ Dưỡng
Diện tích: 667 m2
Hướng: Đông
Pháp lý: Đã có sổ
Khu vực: Nam Phương Tiến - Xuân Mai (mới)
 Bán đất Đồi Miễu Nam Phương Tiến 100m² – Sổ đỏ chính chủ, gần Hồ Miễu
2.8 tỷ
Đang bán
 Bán đất Đồi Miễu Nam Phương Tiến 100m² – Sổ đỏ chính chủ, gần Hồ Miễu
Diện tích: 100 m2
Hướng: Nam
Pháp lý: Đã có sổ
Khu vực: Nam Phương Tiến - Xuân Mai (mới)
Bán Đất Phân Lô Đồi Miễu Giá Rẻ – Bảng Hàng 29 Lô Nam Phương Tiến
Liên hệ
Đang bán
Bán Đất Phân Lô Đồi Miễu Giá Rẻ – Bảng Hàng 29 Lô Nam Phương Tiến
Diện tích: 29 m2
Pháp lý: Đã có sổ
Khu vực: Nam Phương Tiến - Xuân Mai (mới)
Bán đất phân lô Xuân Mai Giá rẻ 130.1m² – Mặt đường rộng – Gần UBND – giá đầu tư LK17
Liên Hệ
Đang bán
Bán đất phân lô Xuân Mai Giá rẻ 130.1m² – Mặt đường rộng – Gần UBND – giá đầu tư LK17
Diện tích: 129.1 m2
Hướng: Tây bắc
Pháp lý: Đã có sổ
Khu vực: Nam Phương Tiến - Xuân Mai (mới)
Bán đất Phân Lô Đồi Miễu 85.1m² – Đường đẹp – Phù hợp để đầu tư Lk16
Liên Hệ
Đang bán
Bán đất Phân Lô Đồi Miễu 85.1m² – Đường đẹp – Phù hợp để đầu tư Lk16
Diện tích: 85.1 m2
Hướng: Tây bắc
Pháp lý: Đã có sổ
Khu vực: Nam Phương Tiến - Xuân Mai (mới)
Bán đất Đỗi Miễu Xuân Mai 81.3m² – Hạ tầng đông bộ – Giá tốt Lk15
1,6 tỷ
Đang bán
Bán đất Đỗi Miễu Xuân Mai 81.3m² – Hạ tầng đông bộ – Giá tốt Lk15
Diện tích: 79.3 m2
Hướng: Tây bắc
Pháp lý: Đã có sổ
Khu vực: Nam Phương Tiến - Xuân Mai (mới)
Bán đất Lô Góc Đồi Miễu Xuân Mai 83m² – Gần hồ Miễu – Tiện ích đầy đủ LK11
1.9 tỷ
Đang bán
Bán đất Lô Góc Đồi Miễu Xuân Mai 83m² – Gần hồ Miễu – Tiện ích đầy đủ LK11
Diện tích: 83 m2
Hướng: Đông Bắc
Pháp lý: Đã có sổ
Khu vực: Nam Phương Tiến - Xuân Mai (mới)
Bán đất Phân Lô Đồi Miễu 99.8m² – Pháp lý chuẩn – Giá tốt LK10
Liên Hệ
Đang bán
Bán đất Phân Lô Đồi Miễu 99.8m² – Pháp lý chuẩn – Giá tốt LK10
Diện tích: 99.8 m2
Hướng: Đông Bắc
Pháp lý: Đã có sổ
Khu vực: Nam Phương Tiến - Xuân Mai (mới)
Bán đất Xuân Mai Giá tốt 97.6m² – Gần chợ Cá – Đường rộng – Giá đầu tư LK9
1.6 tỷ
Đang bán
Bán đất Xuân Mai Giá tốt 97.6m² – Gần chợ Cá – Đường rộng – Giá đầu tư LK9
Diện tích: 97.6 m2
Hướng: Đông Nam
Pháp lý: Đã có sổ
Khu vực: Nam Phương Tiến - Xuân Mai (mới)