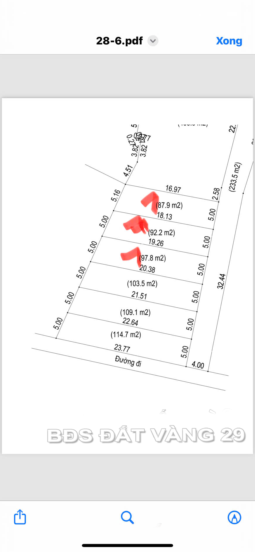
Bán đất phân lô Phú Vinh Phú Nghĩa 87,9m² , Vị trí đẹp, phù hợp đầu tư sinh lời 

Địa chỉ: Phú Nghĩa - Phú Nghĩa (mới)

Diện tích: 87.9 m2
Chiều ngang: 5m
Chiều dài: 18.13m
Hướng: Đông
Giá: Liên Hệ
Pháp lý: Đã có sổ
Trạng thái: Đang bán
Gọi ngay 0869911179

(*) Vui lòng Click vào ảnh để xem rõ nhất

Thông tin dự án

Bán đất phân lô Phú Vinh Phú Nghĩa 87,9m² , Vị trí đẹp, phù hợp đầu tư sinh lời

📐 Diện tích: 87,9m²
📏 Ngang: 5m – Dài: 18,13m

Lô đất nằm trong khu dân cư đông đúc, hạ tầng ổn định, đường rộng thoáng.
📍 Cách QL6 gần 1km, xung quanh có trường học, chợ, sân bóng.
🔗 Kết nối nhanh KCN Phú Nghĩa – KCN Đông Phù Yên, đi TT Chúc Sơn – TT Xuân Mai thuận tiện.

📜 Sổ đỏ chính chủ – pháp lý rõ ràng, giao dịch an toàn.

Ngoài ra, bạn có thể tham khảo thêm nhiều đất thổ cư Chúc Sơn và đất nền ven đô Hà Nội tại website của chúng tôi.

📞Liên Hệ : VP BĐS Đất Vàng 29

🌐Địa Chỉ : KĐT Lộc Ninh – TT Chúc sơn

 Kho Hàng : https://datvangvendo.com/
 Fanpage : https://facebook.com/batdongsandatvang290/

Dự án cùng khu vực

Bán Đất Phân Lô Phú Nghĩa – Quỹ 6 Lô Phú Vinh – Giá rẻ gần khu công nghiệp
Liên hệ
Đang bán
Bán Đất Phân Lô Phú Nghĩa – Quỹ 6 Lô Phú Vinh – Giá rẻ gần khu công nghiệp
Diện tích: 6 m2
Pháp lý: Đã có sổ
Khu vực: Phú Nghĩa - Phú Nghĩa (mới)
Bán đất Thổ Cư Phú Vinh Phú Nghĩa Giá Rẻ 109,1m² , Khu dân cư đông đúc – Tiềm năng tăng giá cao
Liên Hệ
Đang bán
Bán đất Thổ Cư Phú Vinh Phú Nghĩa Giá Rẻ 109,1m² , Khu dân cư đông đúc – Tiềm năng tăng giá cao
Diện tích: 109.1 m2
Hướng: Đông
Pháp lý: Đã có sổ
Khu vực: Phú Nghĩa - Phú Nghĩa (mới)
Chính chủ gửi bán đất Phú Vinh Phú Nghĩa 103,5m² , Pháp lý chuẩn – giá tốt
Liên Hệ
Đang bán
Chính chủ gửi bán đất Phú Vinh Phú Nghĩa 103,5m² , Pháp lý chuẩn – giá tốt
Diện tích: 103.5 m2
Hướng: Đông
Pháp lý: Đã có sổ
Khu vực: Phú Nghĩa - Phú Nghĩa (mới)
Cần bán đất phân lô Phú Vinh Phú Nghĩa 92,2m² , khu dân cư hiện hữu – Giá tốt cho nhà đầu tư
Liên Hệ
Đang bán
Cần bán đất phân lô Phú Vinh Phú Nghĩa 92,2m² , khu dân cư hiện hữu – Giá tốt cho nhà đầu tư
Diện tích: 92.2 m2
Hướng: Đông
Pháp lý: Đã có sổ
Khu vực: Phú Nghĩa - Phú Nghĩa (mới)
Bán Đất Nền Phú Vinh Phú Nghĩa Giá Rẻ 97.6m² , Vị trí tiềm năng – Đón sóng khu công nghiệp
3,4 tỷ
Đang bán
Bán Đất Nền Phú Vinh Phú Nghĩa Giá Rẻ 97.6m² , Vị trí tiềm năng – Đón sóng khu công nghiệp
Diện tích: 97.6 m2
Hướng: Đông
Pháp lý: Đã có sổ
Khu vực: Phú Nghĩa - Phú Nghĩa (mới)
BÁN LÔ GÓC SIÊU ĐẸP TẠI PHÚ NGHĨA 80m²  Full thổ cư
Liên Hệ
Đã bán
BÁN LÔ GÓC SIÊU ĐẸP TẠI PHÚ NGHĨA 80m² Full thổ cư
Diện tích: 80 m2
Hướng: Bắc
Pháp lý: Đã có sổ
Khu vực: Phú Nghĩa - Chương Mỹ
Bán đất Đồng Trữ,Xã Phú Nghĩa 80,1m² Đường đi lại thuận tiện, ô tô ra vào dễ dàng
3.3 tỷ
Đang bán
Bán đất Đồng Trữ,Xã Phú Nghĩa 80,1m² Đường đi lại thuận tiện, ô tô ra vào dễ dàng
Diện tích: 80.1 m2
Hướng: Tây Bắc
Pháp lý: Đã có sổ
Khu vực: Phú Nghĩa - Phú Nghĩa (mới)
Bán Đất Đồng Trữ Phú Nghĩa Giá Rẻ 50m² – Vị trí đẹp, Pháp lý rõ ràng – Giá đầu tư
2.3 tỷ
Đang bán
Bán Đất Đồng Trữ Phú Nghĩa Giá Rẻ 50m² – Vị trí đẹp, Pháp lý rõ ràng – Giá đầu tư
Diện tích: 50 m2
Hướng: Tây
Pháp lý: Đã có sổ
Khu vực: Phú Nghĩa - Phú Nghĩa (mới)
Bán đất đấu giá Rộc Lác Xã Phú Nghĩa 99.61m² – Khu dân cư hiện hữu – Giá đầu tư
4.5 tỷ
Đang bán
Bán đất đấu giá Rộc Lác Xã Phú Nghĩa 99.61m² – Khu dân cư hiện hữu – Giá đầu tư
Diện tích: 99.61 m2
Hướng: Đông Bắc
Pháp lý: Đã có sổ
Khu vực: Phú Nghĩa - Phú Nghĩa (mới)
Bán đất Gò Đậu 80m² Gần KCN Phú Nghĩa – nhu cầu ở, thuê cực cao
3.6 tỷ
Đang bán
Bán đất Gò Đậu 80m² Gần KCN Phú Nghĩa – nhu cầu ở, thuê cực cao
Diện tích: 80 m2
Hướng: Đông Bắc
Pháp lý: Đã có sổ
Khu vực: Phú Nghĩa - Phú Nghĩa (mới)